PROJECTS
Meringandan West Rural Residential Subdivision
CLIENT
Site Acquisitions Pty Ltd
YEAR
2025
LOCATION
Peters Road Meringandan West QLD
PROJECT CATEGORY
Residential
PROJECT OUTLINE
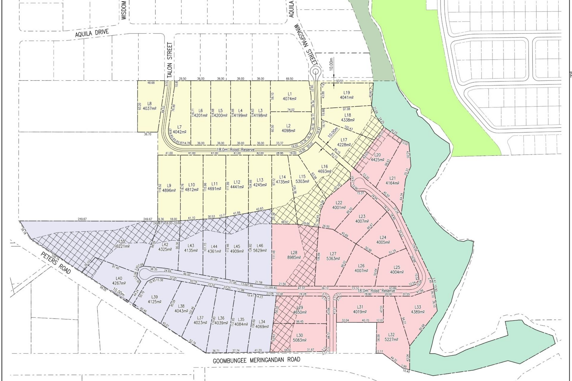
Site Acquisitions Pty Ltd engaged Precinct Urban Planning to provide town planning assistance to develop a rural residential subdivision over 3 stages at Peters Road, Meringandan West. The subdivision will be comprised of 46 lots ranging in size from 4,000m² to 15,878m² plus a drainage reserve.
Due to the rural residential nature of the development, the site will not be serviced by Council’s reticulated sewer infrastructure. The proposed development has been designed to ensure each lot has suitable available land to support on-site wastewater treatment. The appearance of the development will be enhanced through the planting of street trees at regular intervals throughout the estate.
KEY TASKS
- Provision of Strategic and Statutory Planning Advice
- Development Application Preparation
- DA Process Management
- Development Facilitation





